전후사진 11 페이지

본문 바로가기
전체메뉴열기
전체메뉴열기

Total 822건 11 페이지

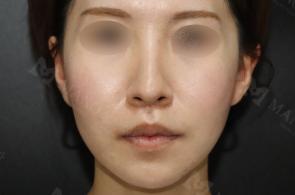
긴곡선절제술+광대축소술+턱끝축소술+내측인중축소술

  • 긴곡선절제술+광대축소술+턱끝축소술+내측인중축소술

  • 내측인중축소술

  • 인중오목술

  • 인중오목술+입술필러

검색

Contact us
상담문의
02.543.1100
주소
서울특별시 서초구 강남대로 605 휴먼타워 14층
진료시간
평일 AM 10:00 ~ PM 07:00
토요일 AM 10:00 ~ PM 04:00
일요일 및 공휴일 휴진

그누보드5

마노성형외과의원 | 서울특별시 서초구 강남대로 605 휴먼타워 14층
사업자등록번호 : 339-52-00585 | 전화 : 02-543-1100 | 이메일 : mano_ps@naver.com

[보기]